Corrientes, jueves 02 de abril de 2026

Sociedad Mundo

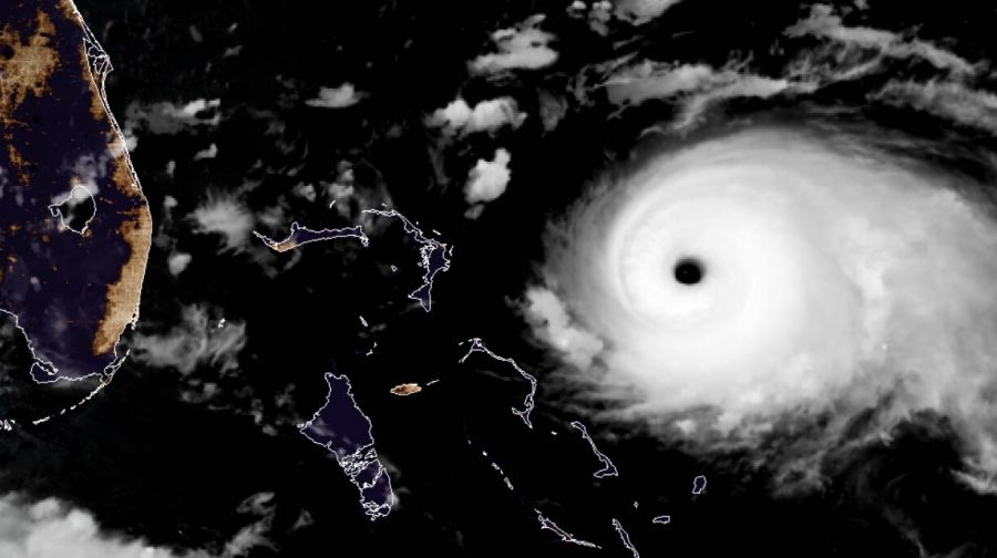
Dorian azotó Bahamas, dejó 5 muertos y se dirige a EE.UU.

03-09-2019
COMPARTIR     
El huracán Dorian, que con categoría 5 es la tormenta más fuerte del planeta este año, azotó hoy Las Bahamas y hay numerosos cuerpos flotando en las calles, informaron las autoridades mientras ya se dirige hacia la zona de Florida en Estados Unidos.

El huracán Dorian, que con categoría 5 es la tormenta más fuerte del planeta este año, azotó hoy Las Bahamas, donde hay numerosos cuerpos flotando en las calles, las autoridades confirmaron cinco muertes mientras ya se dirige hacia la zona de Florida en Estados Unidos.

"Las Bahamas está actualmente en guerra y siendo atacada por el huracán Dorian", dijo el primer ministro de Bahamas, Hubert Minnis, que confirmó la muerte de cinco personas por el desastre natural.

El huracán Dorian azotó las islas Bahamas desde el domingo con lluvias torrenciales y vientos cercanos a los 300 km/h dejando una masiva estela de destrucción, pero hasta el momento no han habido reportes oficiales de decesos.
El canciller Darren Henfield informó hoy que disponen de noticias sobre numerosos cuerpos flotando en las calles inundadas tras el paso del huracán Dorian por las Islas Ábaco, en el norte del archipiélago.

"Tenemos informes de cuerpos vistos, pero no podemos confirmar esos datos hasta que salgamos y los veamos", indicó Henfield en declaraciones a la cadena televisiva ZNS.

También sostuvo que los daños reportados en las Islas Ábaco fueron catastróficos, pero que habrá que esperar a que mejoren las condiciones para comprobar sobre el terreno cuál es el verdadero estado de situación.

Hay líneas eléctricas caídas y árboles derribados, y los equipos de rescate se están trasladando a las zonas donde hay información de personas que permanecen en peligro.

El jefe de la Policía de Gran Bahama, Samuel Butler, pidió mantener la calma hasta que pase la tormenta y las autoridades evalúen qué medidas adoptar.

En las imágenes difundidas por habitantes de las Islas Ábaco, los daños del huracán son visibles en autos y casas de las que solo se observan los tejados sumergidos debido a las inundaciones que han convertido las calles en ríos torrentosos.

En las Ábaco la destrucción fue total y buena parte del territorio quedó completamente inundado, a lo que se sumó la dificultad de rescatar a cientos de personas que no hicieron caso a la petición del gobierno de abandonar las áreas costeras potencialmente más vulnerables.

Por eso, el gobierno de Las Bahamas promoverá una nueva normativa sobre evacuación obligatoria para evitar situaciones como las vividas durante el paso del huracán Dorian que azota este lunes al archipiélago atlántico, después de que cientos de personas en las Islas Ábaco se negaran a abandonar sus hogares.

El primer ministro de Bahamas, Hubert Minnis, dijo en declaraciones a medios locales que una vez que se vuelva a la normalidad y se reanude la actividad en el Parlamento, se promoverá una legislación apropiada para evitar que se repitan situaciones como las vividas con el huracán Dorian.

"En dos ocasiones les pedí a los bahameños que abandonaran los cayos para trasladarse al área central de la isla -Ábaco-", dijo Minnis, tras apuntar que pese a su solicitud cientos de personas permanecieron en sus hogares en áreas muy vulnerables.
Minnis subrayó que a pesar de lo crítico de la situación muchas personas se negaron a irse, una situación que no está dispuesto a que vuelva a suceder.

En tanto, el huracán avanza muy lentamente y se espera que en la noche de hoy llegue al este de Florida y permanezca como una amenaza hasta el miércoles.

Cerca de 600 vuelos que estaban programados para el día de hoy ya fueron cancelados con motivo de la llegada del huracán a la costa sureste de Estados Unidos.

Además del cierre de aeropuertos y puertos, se suspendieron servicios de trenes y se retrasó el retorno a clases de miles de alumnos de escuelas primarias, secundarias y universidades.

Mientras tanto, cientos de personas se acercaron hoy a la playa de la ciudad turística de Juno Beach horas previas a que el huracán Dorian se aproxime a la costa de La Florida, antes de continuar rumbo norte a lo largo del litoral del sureste de Estados Unidos.